Na semana passada, uma resolução publicada pela Secretaria de Parcerias e Investimentos marcou o início do processo de desapropriação de áreas necessárias para a implantação da futura Linha 20-Rosa do Metrô, projeto que prevê a ligação entre Santo André e a região de Santa Marina.
Na sequência, o Metrô de São Paulo divulgou as plantas que identificam os imóveis que deverão ser desocupados. Com base nesses documentos, já é possível ter uma visão preliminar sobre os futuros pontos de embarque e desembarque da nova linha.
🚎 Fique por dentro das notícias mais recentes sobre mobilidade:
✅ Canal do Via Trolebus no WhatsApp
✅ Canal do Via Trolebus no Telegram
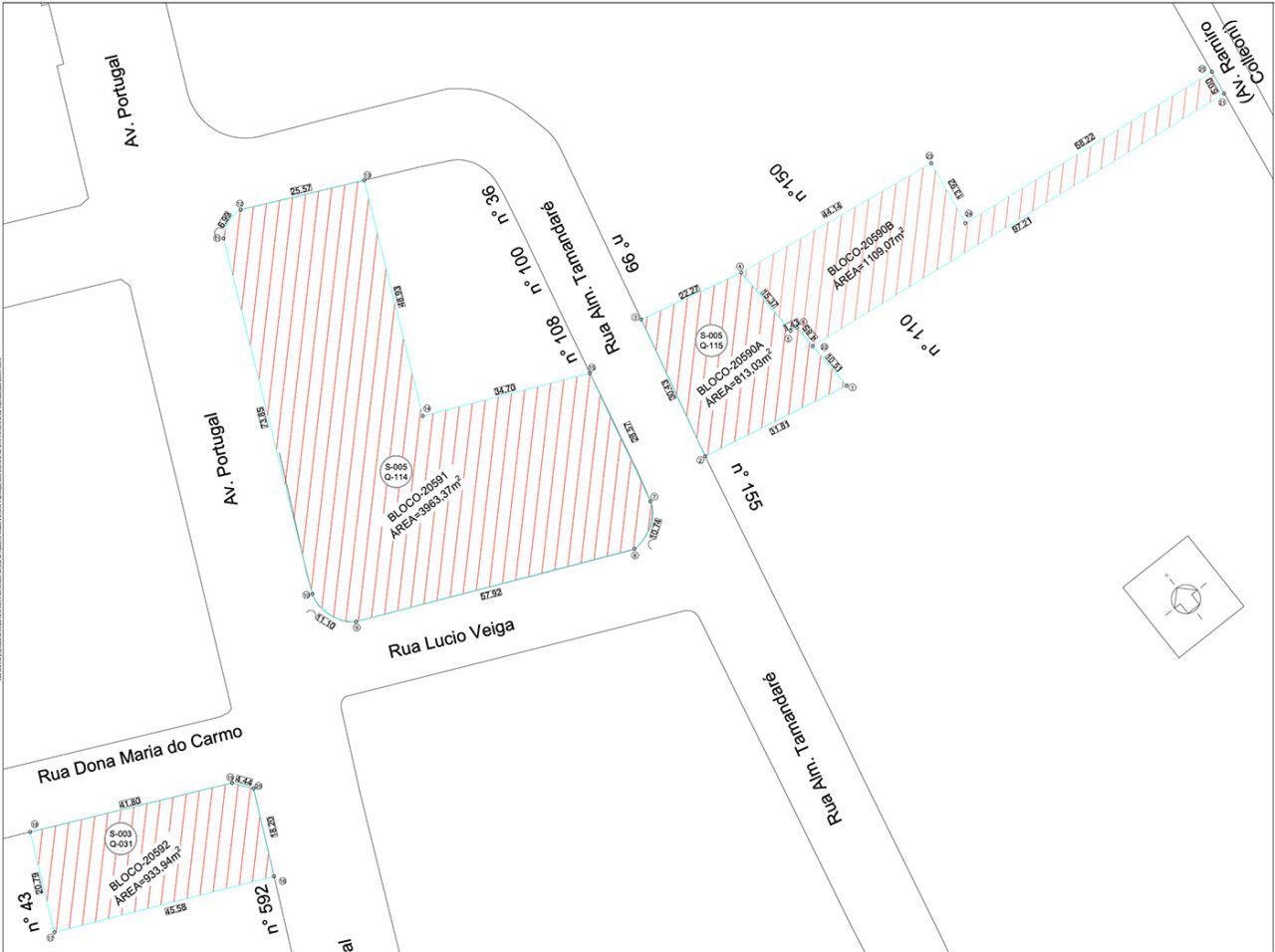
A documentação também traz os primeiros detalhes sobre a segunda estação da Linha 20 em Santo André. Trata-se da futura Estação Portugal, que será implantada na Avenida Portugal, via que liga o Centro da cidade à Vila Gilda.
A planta indica desapropriações no quarteirão formado pela Avenida Portugal com a Rua Almirante Tamandaré e a Rua Lúcio Veiga. Há ainda áreas previstas entre a Rua Almirante Tamandaré e a Avenida Ramiro Colleoni, além de um terreno localizado na esquina da Avenida Portugal com a Rua Dona Maria do Carmo:
Local aproximado:
Prazos para as obras
De acordo com o presidente do Metrô de São Paulo, Júlio Castiglioni, o início das obras da Linha 20-Rosa está previsto para 2028. A informação foi divulgada em entrevista ao site Diário do Grande ABC.
Atualmente, o empreendimento está na fase de desenvolvimento do projeto básico, com previsão de conclusão em 2026.
Segundo Castiglioni, essa etapa envolve estudos de engenharia de alta complexidade e investimentos elevados. O cronograma prevê a finalização do projeto em setembro de 2026, a publicação do edital de obras em 2027 e o início da construção no ano seguinte.





